O circovírus suíno tipo 2 (PCV2) é o agente etiológico de várias doenças que podem afectar os porcos em todas as suas fases produtivas; a doença sistémica por PCV2 (PCV2-SD) e a infecção sub-clínica por PCV2 (PCV2-SI) são as principais. Este grupo de patologias são conhecidas colectivamente como doenças por circovírus suíno (PCVD). A grande variedade de patologias associadas a este vírus, em combinação com a sua distribuição mundial comporta um impacto económico relevante na indústria da produção suína. Neste artigo serão discutidas as propriedades do PCV2 e as suas implicações na patogenicidade, transmissão e persistência.


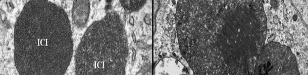
Microscopía electrónica de um gânglio linfático de um porco com PCV2-SD. Note-se a presença de corpos de inclusão intracitoplasmáticos de PCV2 (ICI); em algumas zonas, as partículas virais podem estar dispostas em estruturas paracristalinas (quadrado da imagem direita). Foto cortesia de Carolina Rodríguez-Cariño, tese de doutoramento.
PCV2 é um vírus icosaédrico não encapsulado, com uma cadeia simples circular de 1,76-1,77 kb ADN, que pertence ao género Circovirus da família Circoviridae. O seu tamanho é de uns 12-23 nm de diâmetro, sendo o vírus mais pequeno que afecta os mamíferos. O genoma do PCV2 é formado por 11 estruturas de leitura aberta (ORFs) putativas, mas a expressão proteica apenas foi descrita para a ORF1 (gen Rep, que codifica para as enzimas replicases, de proteínas não estruturais, Rep e Rep’), ORF 2 (gen Cap, que codifica para a proteína da cápside) e ORF 3 (que codifica para uma proteína não estrutural que induz a apoptose nas células PK-15). A proteína da cápside tem propriedades imunogénicas, sendo capaz de induzir uma resposta humoral e celular efectiva, pelo que não é surpreendente que seja o elemento comum nas vacinas comerciais contra a PCV2.
Os estudos filogenéticos revelaram uma elevada percentagem de identidade nucleótida (>93%) entre estirpes de PCV2. Muito embora vários estudos iniciais não tenham considerado significativas as diferenças de sequência entre isolados de PCV2, trabalhos posteriores dividiram as estirpes de PCV2 em dois grupos principais chamados genótipo "a" (PCV2a) e "b" (PCV2b). Posteriormente, um terceiro genótipo (PCV2c) foi descrito retrospectivamente em porcos dinamarqueses nos anos 80. Finalmente, foi descrito recentemente um quarto genótipo (PCV2d) na China, embora actualmente se saiba que também está presente em outras partes do mundo. Sob as circunstâncias apropriadas o PCV2a e o PCV2b são capazes de reproduzir experimentalmente PCV2-SD. No entanto, PCV2b foi relacionado mais frequentemente com a expressão da doença, tanto em infecções experimentais como em estudos epidemiológicos, onde a mudança da predominância do genótipo PCV2a pelo PCV2b nos animais foi associado com a aparição epidémica de PCV2-SD. Sob esta perspectiva não deve ser descartada a possibilidade de uma infecção concomitante com mais de um genótipo ao nível de exploração. Actualmente todas as vacinas comerciais contra o PCV2 baseiam-se no PCV2a, ainda que tenham demonstrado resultados excelentes que evidenciam uma protecção cruzada contra o PCV2b. Indo um passo adiante, as vacinas experimentais contra o PCV2b demonstraram resultados ainda melhores contra o PCV2b que as de PCV2a, o que sugere que a protecção homóloga é, aparentemente, mais eficiente.
As propriedades biológicas e fisico-químicas do PCV2 ainda não foram completamente caracterizadas.
O vírus é muito resistente no ambiente, mostrando também uma grande resistência aos tratamentos químicos e térmicos (tabela 1).
Tabela 1. Efeito das condições ambientais e dos tratamentos térmicos e químicos sobre a infectividade do PCV2.
| Efeito sobre a infectividade do PCV2 | |
| pH |
|
| Tratamentos térmicos |
|
| Tratamentos químicos |
|
O PCV2 é um vírus específico para os suínos que pode infectar porcos e javalis. Foi investigada a sua capacidade para infectar outras espécies como bovinos, ovinos, caprinos, equinos, caninos, felinos, coelhos, cobaias, aves de capoeira ou humanos, sem demonstração de susceptibilidade aparente. Outros estudos indicam que o PCV2 pode ser replicado e transmitido em ratos. Neste sentido, foi sugerido um papel como hóspede alternativo ou vector mecânico para as ratazanas e ratos nas explorações suínas, já que foi encontrado PCV2 em indivíduos destas espécies que vivem dentro de explorações suínas, mas não nos que vivem fora. No entanto, o papel dos ratos na epidemiologia total do PCV2 é provavelmente pequeno. Foi detectado PCV2 em todas as vias de excreção/secreção analisadas, estando presente na cavidade nasal, amígdalas, brônquios, saliva, conjuntiva ocular, fezes, urina, leite e sémen. A transmissão pode dar-se pela via oronasal, ainda que a transplacentária também seja possível. As porcas mantêm a infecção nas explorações e, a partir delas, infectam-se os leitões, podendo estes sofrer uma infecção de longa duração, com virémia até ás 28 semanas. Uma vez que PCV2 possui uma alta resistência ambiental e altas capacidades de transmissão, não é surpreendente que seja um vírus persistente com uma distribuição ubíqua, presente em praticamente todos os locais onde se criam porcos.







